Gortnavarnogue, Newport

Share with a friend

Please check you have entered all details correctly:

Back to Search results

Gortnavarnogue Newport, County Tipperary

Price €50,000
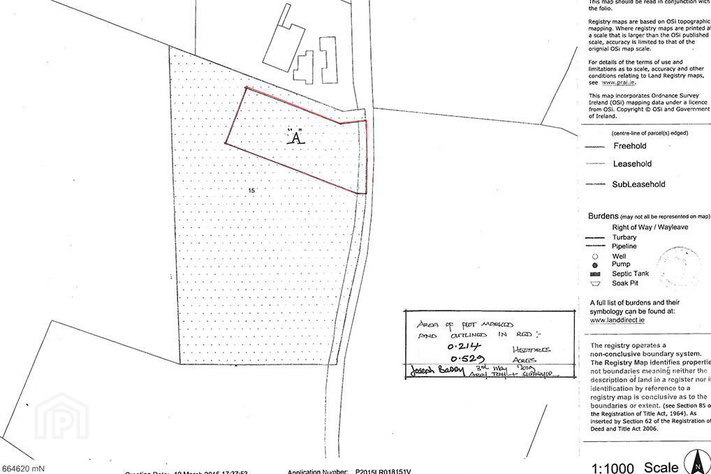
  • Size 0.5 acres²
Read More

Description

REA John Lee offer for sale this ideally situated c. 0.5 acre Building Site being sold Subject to Planning Permission. The property previous passed a percolation test. Clients must fulfill local planning requirements. The property is conveniently situated 3.5km from Newport and 5km from Birdhill with easy access to the M7 motorway. Full details from the agent.


Directions

From Newport take the Birdhill road after passing Centra. Proceed straight on and take the 1st right before the GAA grounds. The site is a short distance on the left. Sat Nav Co. Ord: 52.7325 -8.4213

Explore Tipperary Tipperary is best known for being the birthplace of GAA, Bulmer's cider and the famous war song 'It's a Long Way to Tipperary' written by Britain's Henry James Williams. The county was established in the 13th century after the Normans invaded Ireland and there is much evidence of the invaders s... Explore Tipperary
PSRA Licence No: 002764

Get in touch

Use the form below to get in touch with REA John Lee (Newport) or call them on (061) 378 121

Please check you have entered all details correctly:

For Sale