This site uses cookies to store information on your computer
Read more
Back to Search results
Ballybay Road Carrickmacross, County Monaghan
Open to offersAt a glance...
- A WONDERFUL RESIDENTIAL DEVELOPMENT OPPORTUNITY.
- MAINS SERVICES AVAILABLE
- CONVENIENT TO TOWN AND ALL AMENITIES
- EASY ACCESS TO N2 and M1, DUBLIN 1 hour drive
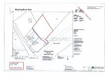
- OUTLINE PLANNING PERMISSION FOR 4 DETACHED RESIDENCES
- DAILY DUBLIN COMMUTER BUS SERVICE
Read More
Explore Monaghan
The "stoney grey soil" of County Monaghan is probably best known for being the birthplace and childhood home of poet Patrick Kavanagh, who grew up in the town of Iniskeen. It is also known for its lace-making, made famous when it was used in the late Princess Diana's wedding dress..
Monaghan's ...
Explore Monaghan
Description
PRIME RESIDENTIAL DEVELOPMENT SITE OPP FOR 4 DETACHED HOUSES
A beautiful elevated secluded location off the link road between the Ballybay road roundabout and the N2 Carrickmacross North roundabout, 1 km from Carrickmacross town centre just past the Carrick Emmett’s GAA grounds.
Directions
From Carrickmacross town centre proceed out the Castleblayney road to the junction, keep left for Ballybay, pass the GAA grounds Emmett Park, turn right at roundabout, site on left hand side.
You might also like…
PSRA Licence No: 002794
Get in touch
Use the form below to get in touch with REA Gunne Property (Carrickmacross) or call them on (042) 966 1303